Opis nieruchomości
Do działki dojedziesz wklejając w Google Maps 51.947083, 21.081722https://maps.app.goo.gl/AKKkDHNQw5xFifFr9
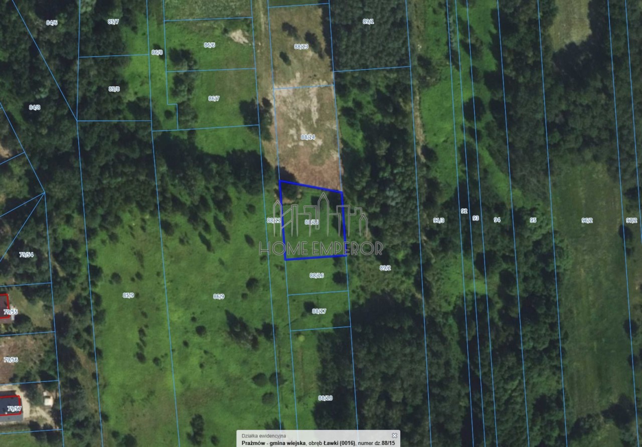
Ławki, ul. Główna
Numer Ewidencyjny 88/15
Media
Prąd i woda - w odległości około 114m
Wymiary
38m x 30m x 30m x 29m
Działka objęta jest miejscowym planem zagospodarowania przestrzennego pod tereny zabudowy mieszkaniowej jednorodzinnej i zabudowy usługowej:
Ustalenia planu (symbol 9MNU):
1. Przeznaczenie podstawowe:
- zabudowa mieszkaniowa jednorodzinna wolnostojąca,
- zabudowa usługowa,
2. Maksymalna intensywność zabudowy działki budowlanej nie większa niż 0,7;
3. Minimalny udział procentowy powierzchni biologicznie czynnej w odniesieniu do powierzchni działki budowlanej nie mniejszy niż 70%;
4. Maksymalna powierzchnia zabudowy nie większa niż 30% w stosunku do powierzchni działki budowlanej;
5. Maksymalna wysokość zabudowy z wyjątkiem zabudowy garażowej i gospodarczej nie większa niż 12 metrów;
6. Maksymalna wysokość zabudowy gospodarczej i garażowej nie większa niż 6 metrów.
Działka znajduje się w odległości 1,7 km od stacji PKP Czachówek Południowy oraz 2,3 km od szkoły podstawowej.
Zapraszam do kontaktu
Maciej Adamczyk
883-106-453
Opis oferty zawarty na stronie internetowej sporządzany jest na podstawie oględzin nieruchomości oraz informacji uzyskanych od właściciela, może podlegać aktualizacji i nie stanowi oferty określonej w art. 66 i następnych K.C.
Nota prawna
Opis oferty zawarty na stronie internetowej sporządzany jest na podstawie oględzin nieruchomości oraz informacji uzyskanych od właściciela, może podlegać aktualizacji i nie stanowi oferty określonej w art. 66 i następnych K.C.