Góra Kalwaria, Marianki, Sosnowa

Działka na sprzedaż

2 022,00 m2 150,84 zł/m2

305 000 zł

Maciej Adamczyk

Doradca d/s Sprzedaży Nieruchomości

Opis nieruchomości

Do działki dojedziesz wklejając w Google Maps 51.977500, 21.187083
https://maps.app.goo.gl/uzCx2AybAy5gB9g17

Góra Kalwaria, ul. Sosnowa
Numer Ewidencyjny 7/13, obręb 10-01 (1001)

Media
Woda i gaz - w odległości około 67m
Prąd i kanalizacja - w odległości około 98m

Wymiary
18m x 107m x 19m x 109m

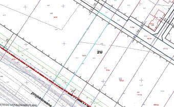
Działka objęta jest miejscowym planem zagospodarowania przestrzennego pod tereny zabudowy usługowej:
Ustalenia planu (symbol 2U):
1. Przeznaczenie podstawowe – usługi związane z obsługą bytową mieszkańców, usługi handlu, gastronomii, usługi administracyjne, usługi hotelarskie i konferencyjne, hurtownie, magazyny;
2. Przeznaczenie uzupełniające – lokale mieszkalne dla usługodawcy, drogi wewnętrzne, sieci i elementy infrastruktury technicznej (w zakresie przesyłu, przechodu lub wyposażenia budynków w: wodę, gaz, ciepło, kanalizację sanitarną i deszczową, energię elektryczną, usługi telekomunikacyjne), budynki gospodarcze i garaże, zieleń i elementy małej architektury;
3. Nakazuje się zachowanie udziału powierzchni biologicznie czynnej w wielkości nie mniejszej niż 30% powierzchni działki budowlanej;
4. Maksymalną wysokość budynku:
- usługowego – 14 m i nie więcej niż cztery kondygnacje nadziemne,
- magazynowego – 10 m i nie więcej niż trzy kondygnacje nadziemne,
- gospodarczego – 6 m i nie więcej niż jedna kondygnacja nadziemna,
5. Ustala się maksymalną intensywność zabudowy 1,2.

Działka znajduje się w odległości 1,9 km od stacji PKP Góra Kalwaria.

Zapraszam do kontaktu
Maciej Adamczyk
883-106-453
Biuro pobiera prowizję za pośrednictwo w nabyciu nieruchomości.

Opis oferty zawarty na stronie internetowej sporządzany jest na podstawie oględzin nieruchomości oraz informacji uzyskanych od właściciela, może podlegać aktualizacji i nie stanowi oferty określonej w art. 66 i następnych K.C.

Nota prawna

Opis oferty zawarty na stronie internetowej sporządzany jest na podstawie oględzin nieruchomości oraz informacji uzyskanych od właściciela, może podlegać aktualizacji i nie stanowi oferty określonej w art. 66 i następnych K.C.

Szczegóły

Symbol oferty EMP-GS-10444
Powierzchnia 2 022 m²
Przeznaczenie działki usługowa
Wymiary działki 18*107*19*109 m
Stan prawny własność
Zagosp. działki niezagospodarowana
Ukształtowanie działki płaska
Kształt działki prostokąt
Ogrodzenie działki brak
Gaz w ulicy
Woda w ulicy
Dojazd asfalt
Otoczenie działki niezabudowane
Położenie obrzeża miasta
Prąd w ulicy
Kanalizacja w ulicy

Podobne oferty

Działka na sprzedaż - Góra Kalwaria, Leśna
działka na sprzedaż - Góra Kalwaria, Leśna

EMP-GS-10547

Góra Kalwaria, Leśna
działka na sprzedaż

801 m²

269 000
335,83 zł/m2
nowa oferta
Dodaj
do notatnika
PLN
PLN
PLN
PLN
PLN
PLN
PLN
%
PLN
PLN
PLN

PLN

Uwaga: mogą wystąpić dodatkowe opłaty za założenie księgi wieczystej oraz ustanowienie hipoteki.

Dane:

PLN
%

Wynik:

PLN
pierwsza rata
ostatnia rata

Napisz do nas

Proszę wypełnić to pole
Proszę wypełnić to pole
Proszę wypełnić to pole
Proszę wypełnić to pole
Trwa wysyłanie...

Ta strona wykorzystuje pliki cookies w celach statystycznych oraz w celu dostosowania naszych serwisów do indywidualnych potrzeb klientów. Zmiany ustawień dotyczących plików cookie można dokonać w dowolnej chwili modyfikując ustawienia przeglądarki. Korzystanie z tej strony bez zmian ustawień dotyczących cookies oznacza, że będą one zapisane w pamięci urządzenia.

rozumiem