Lesznowola, Stefanowo, Graniczna

Działka na sprzedaż

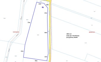
2 863,00 m2 253,23 zł/m2

725 000 zł

nowa oferta
Maciej Adamczyk

Doradca d/s Sprzedaży Nieruchomości

Opis nieruchomości

Do działki dojedziesz wklejając w Google Maps: 52.049583, 20.893861
https://maps.app.goo.gl/qxT3ofKJpSjrnQcp8

Stefanowo, ul. Graniczna
Numer ewidencyjny 59/26

Media
Prąd, gaz i kanalizacja - przy granicy działki

Wymiary
15m x 60m x 12m x 39m x 21m x 73m x 12m x 10m

Działka jest objęta miejscowym planem zagospodarowania przestrzennego pod tereny lasów. Brak możliwości zabudowy.

Zapraszam do kontaktu:
Maciej Adamczyk
883-106-453
Biuro pobiera prowizję za pośrednictwo w nabyciu nieruchomości.

Opis oferty zawarty na stronie internetowej sporządzany jest na podstawie oględzin nieruchomości oraz informacji uzyskanych od właściciela, może podlegać aktualizacji i nie stanowi oferty określonej w art. 66 i następnych K.C.

Nota prawna

Opis oferty zawarty na stronie internetowej sporządzany jest na podstawie oględzin nieruchomości oraz informacji uzyskanych od właściciela, może podlegać aktualizacji i nie stanowi oferty określonej w art. 66 i następnych K.C.

Szczegóły

Symbol oferty EMP-GS-10312
Powierzchnia 2 863 m²
Przeznaczenie działki leśna
Wymiary działki 15*60*12*39*21*73*12*10 m
Stan prawny własność
Zagosp. działki niezagospodarowana
Ukształtowanie działki płaska
Kształt działki nieregularny
Ogrodzenie działki brak
Gaz w ulicy
Woda brak
Dojazd asfalt
Otoczenie las
Położenie obrzeża miasta
Prąd w ulicy
Kanalizacja w ulicy

Podobne oferty

Działka na sprzedaż - Lesznowola, Mroków, Karasia
działka na sprzedaż - Lesznowola, Mroków, Karasia

EMP-GS-10332

Lesznowola, Mroków, Karasia
działka na sprzedaż

1 415 m²

637 000
450,18 zł/m2
nowa oferta
Dodaj
do notatnika
Działka na sprzedaż - Lesznowola, Warszawianka, Urocza
działka na sprzedaż - Lesznowola, Warszawianka, Urocza

EMP-GS-10318

Lesznowola, Warszawianka,…
działka na sprzedaż

1 405 m²

630 000
448,40 zł/m2
nowa oferta
Dodaj
do notatnika
Działka na sprzedaż - Lesznowola, Marysin, Ludowa
działka na sprzedaż - Lesznowola, Marysin, Ludowa

EMP-GS-10302

Lesznowola, Marysin, Ludowa
działka na sprzedaż

1 000 m²

600 000
600,00 zł/m2
nowa oferta
Dodaj
do notatnika
Działka na sprzedaż - Lesznowola, Zgorzała, Gołębia
działka na sprzedaż - Lesznowola, Zgorzała, Gołębia

EMP-GS-10284

Lesznowola, Zgorzała,…
działka na sprzedaż

1 000 m²

850 000
850,00 zł/m2
Dodaj
do notatnika
PLN
PLN
PLN
PLN
PLN
PLN
PLN
%
PLN
PLN
PLN

PLN

Uwaga: mogą wystąpić dodatkowe opłaty za założenie księgi wieczystej oraz ustanowienie hipoteki.

Dane:

PLN
%

Wynik:

PLN
pierwsza rata
ostatnia rata

Napisz do nas

Proszę wypełnić to pole
Proszę wypełnić to pole
Proszę wypełnić to pole
Proszę wypełnić to pole
Trwa wysyłanie...

Ta strona wykorzystuje pliki cookies w celach statystycznych oraz w celu dostosowania naszych serwisów do indywidualnych potrzeb klientów. Zmiany ustawień dotyczących plików cookie można dokonać w dowolnej chwili modyfikując ustawienia przeglądarki. Korzystanie z tej strony bez zmian ustawień dotyczących cookies oznacza, że będą one zapisane w pamięci urządzenia.

rozumiem